00 Rutland DriveAiken, SC 29801




Mortgage Calculator
Monthly Payment (Est.)
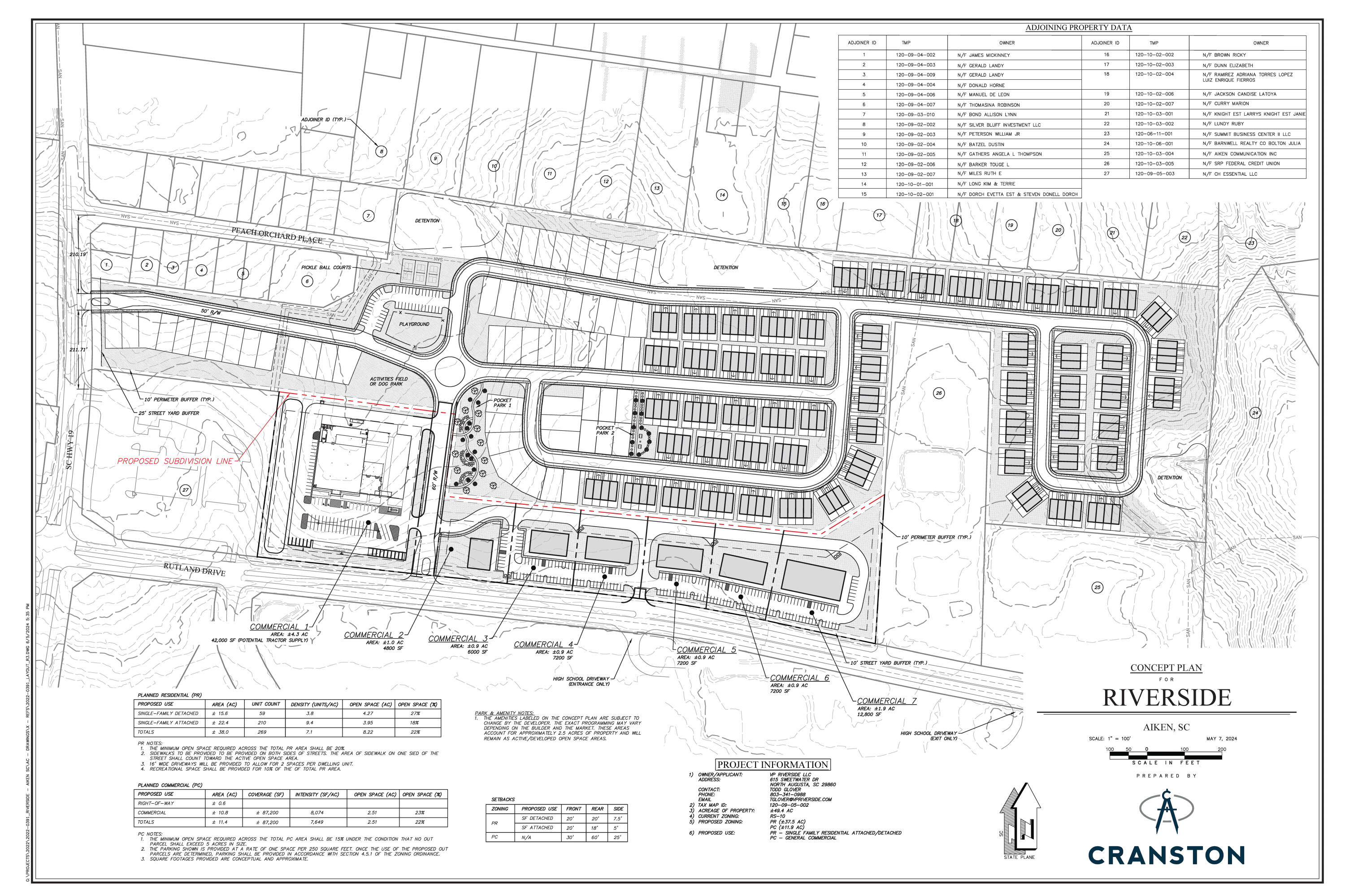
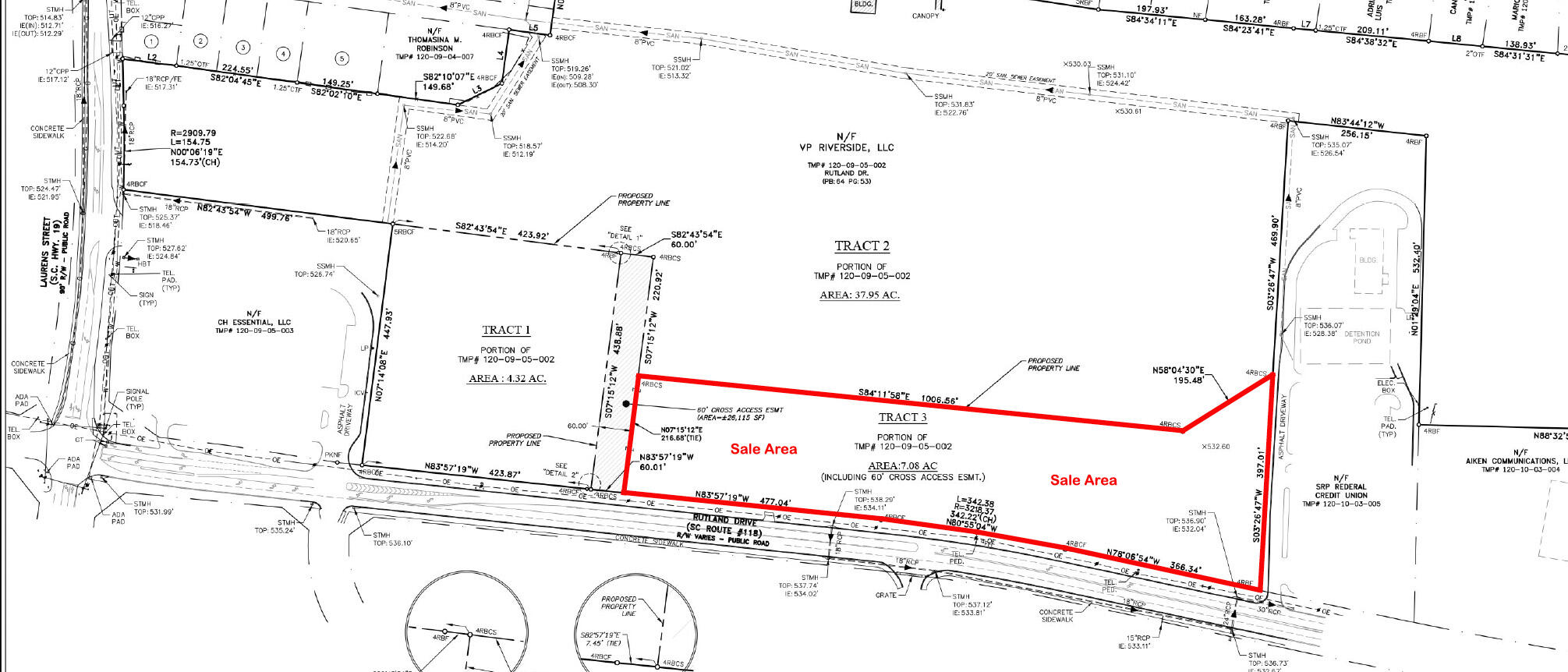
$6,622Level, cleared and ready for development, this over 7-acre parcel is ideal for many commercial uses from retail to office to flex. Zoned ''Planned Commercial'' (per the City of Aiken) and on a major east-west artery that feeds Hwy 19 to Interstate 20 and only 5 min from the CBD, this parcel boasts 16,500 VPD with over 1600 feet of road frontage. Tractor Supply is complete, open for business, and contiguous to the property. A site plan has been approved for over 250 units of single-family attached and /or detached residential units on the north side of the parcel, and the developer is slated to begin in early spring 2026. Rollback taxes will apply to the Buyer. Water and Sewer are both available at the site. There is an off-site detention area for this property. As an incentive to locate here, the City of Aiken is granting a 50% rebate on the cost of the business license for 5 years. The rebate will go to the end-user business owner (whether they buy or lease).
| a year ago | Listing first seen on site | |
| a year ago | Listing updated with changes from the MLS® |
Listing information is provided by Participants of the Aiken Association of Realtors MLS. IDX information is provided exclusively for personal, non-commercial use, and may not be used for any purpose other than to identify prospective properties consumers may be interested in purchasing. Information is deemed reliable but not guaranteed. Copyright 2026, Aiken Association of Realtors MLS.
Last checked: 2026-03-01 09:49 PM UTC

Did you know? You can invite friends and family to your search. They can join your search, rate and discuss listings with you.